TBD 350th StreetChelsea, IA 52215




Mortgage Calculator
Monthly Payment (Est.)
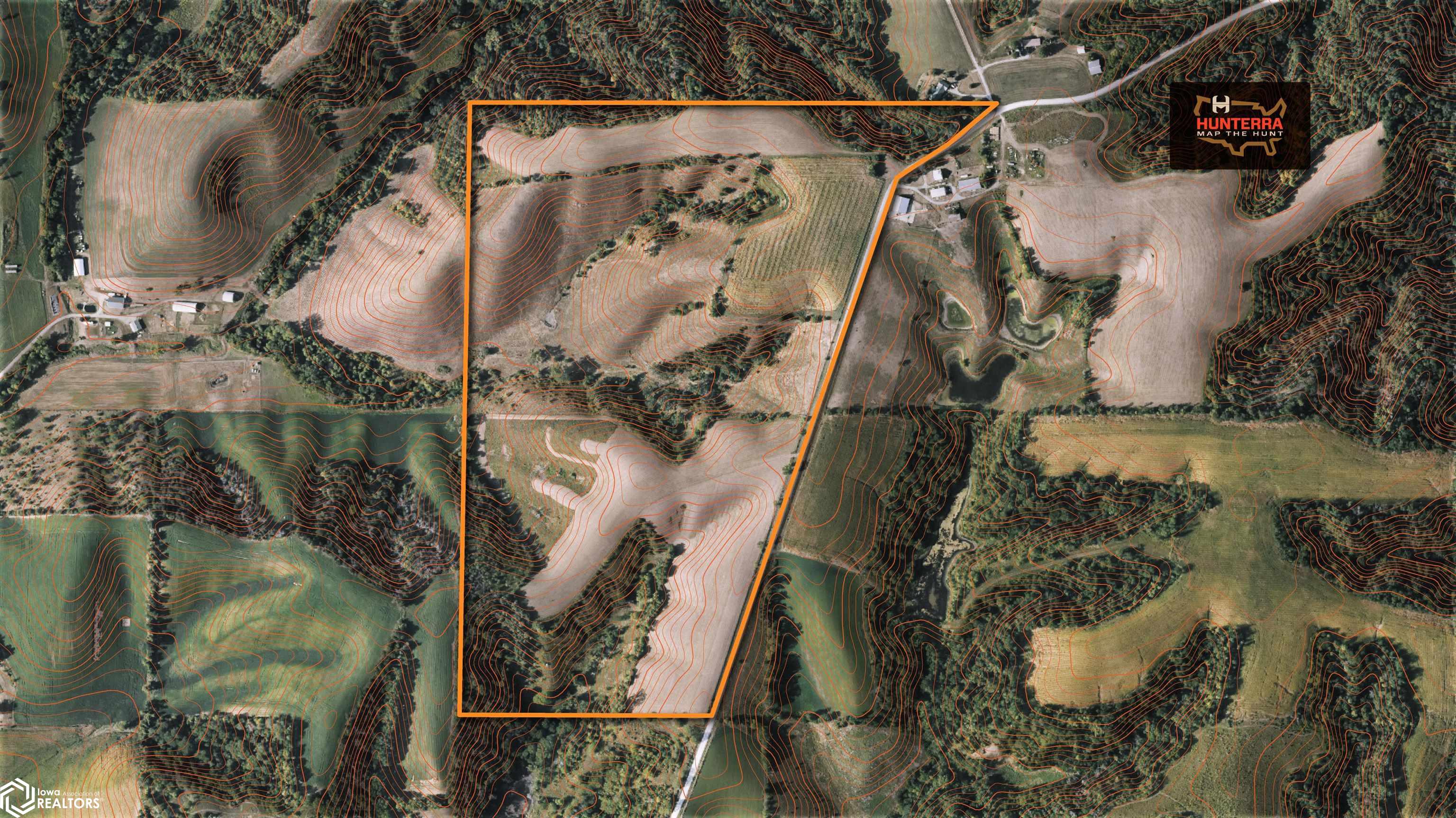
$2,395This 90-acre farm sits in the majestic rolling hills above the Iowa River, in an area known for its beauty and strong whitetail country. With a mix of income acres, pasture, timber, and brush, it lays out naturally for both recreation and mixed-use investment. The farm includes 29 acres of CRP enrolled through 2033, paying $255/acre for an annual income of $7,565. The CRP fields are tall and thick, with excellent stands of native grass that not only generate income but also provide valuable cover and wildlife habitat. There’s also a 9 acre crop field that could add a little more income if you rent it out. From the gravel road, the property is mostly hidden thanks to this dense screening from the native grasses and crops, giving it a private feel. In the middle, there is 30 acres of pasture that has two ridges and two draws, and the remaining 23 acres of brushy timber round out the diversity. For hunters, the potential here is easy to see. The north CRP field stretches west and borders adjoining timber, making it a natural food plot site. Deer sign is already evident, and with a food source in place this area would become a reliable hunting setup. On the south end, a winding trail leads back to an old hunting blind overlooking a secluded bottom. This section is a thick bedding area that has produced consistent deer activity for years. A small pond is already in place, but the deep ravines across the property create opportunities for building a larger pond in the future.
| 6 days ago | Listing updated with changes from the MLS® | |
| 6 days ago | Status changed to Pending | |
| a month ago | Price changed to $525,000 | |
| 6 months ago | Listing first seen on site |
Listing information is provided by Participants of the Iowa Association of REALTORS MLS. IDX information is provided exclusively for personal, non-commercial use, and may not be used for any purpose other than to identify prospective properties consumers may be interested in purchasing. Information is deemed reliable but not guaranteed. Copyright 2026, Iowa Association of REALTORS MLS.
Data last updated at: 2026-03-22 12:53 PM UTC

Did you know? You can invite friends and family to your search. They can join your search, rate and discuss listings with you.